Te koop / Grond
€ 225.000
Kuilenstraat, 3600 GENK
- 2.295 m²
Mooi perceel grond van 22 are 95 centiare voor open bebouwing.
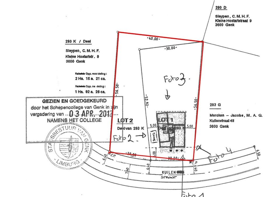
Het gaat om lot 1 (bouwgrond) en lot 2 (natuur). Deze loten vormen een mooie rechthoek met een straatbreedte van 40m.
Er is al een kelder gebouwd.
Het is hier rustig wonen in een doodlopende straat.
Winkels en horeca zijn goed bereikbaar in de Vennestraat.
De bouwvoorschriften zijn ter beschikking op aanvraag via mail: info@lantmeeters.be
Het gaat om lot 1 (bouwgrond) en lot 2 (natuur). Deze loten vormen een mooie rechthoek met een straatbreedte van 40m.
Er is al een kelder gebouwd.
Het is hier rustig wonen in een doodlopende straat.
Winkels en horeca zijn goed bereikbaar in de Vennestraat.
De bouwvoorschriften zijn ter beschikking op aanvraag via mail: info@lantmeeters.be
In detail
Financieel
- Prijs
- € 225.000
- Beschikbaarheid
- Vanaf akte
- Onder BTW stelsel
- nee
- Opbrengsteigendom
- nee
Gebouw
- Gevelbreedte
- 10,50 m
Terrein
- Perceel opp.
- 2.295,00 m²
- Terreinbreedte
- 40,00 m
- Terreindiepte
- 53,00 m
Stedenbouwkundige info
- Bestemming
- Natuurgebied
- Bouwvergunning
- Nee
- Verkavelingsvergunning
- Ja
- Voorkooprecht
- Ja
- Dagvaarding
- Geen rechterlijke herstelmaatregel of bestuurlijke maatregel opgelegd
- Overstromingsgevoeliggebied
- Niet gelegen in een overstromingsgevoelig gebied


