Te koop / Projectgrond
€ 640.000
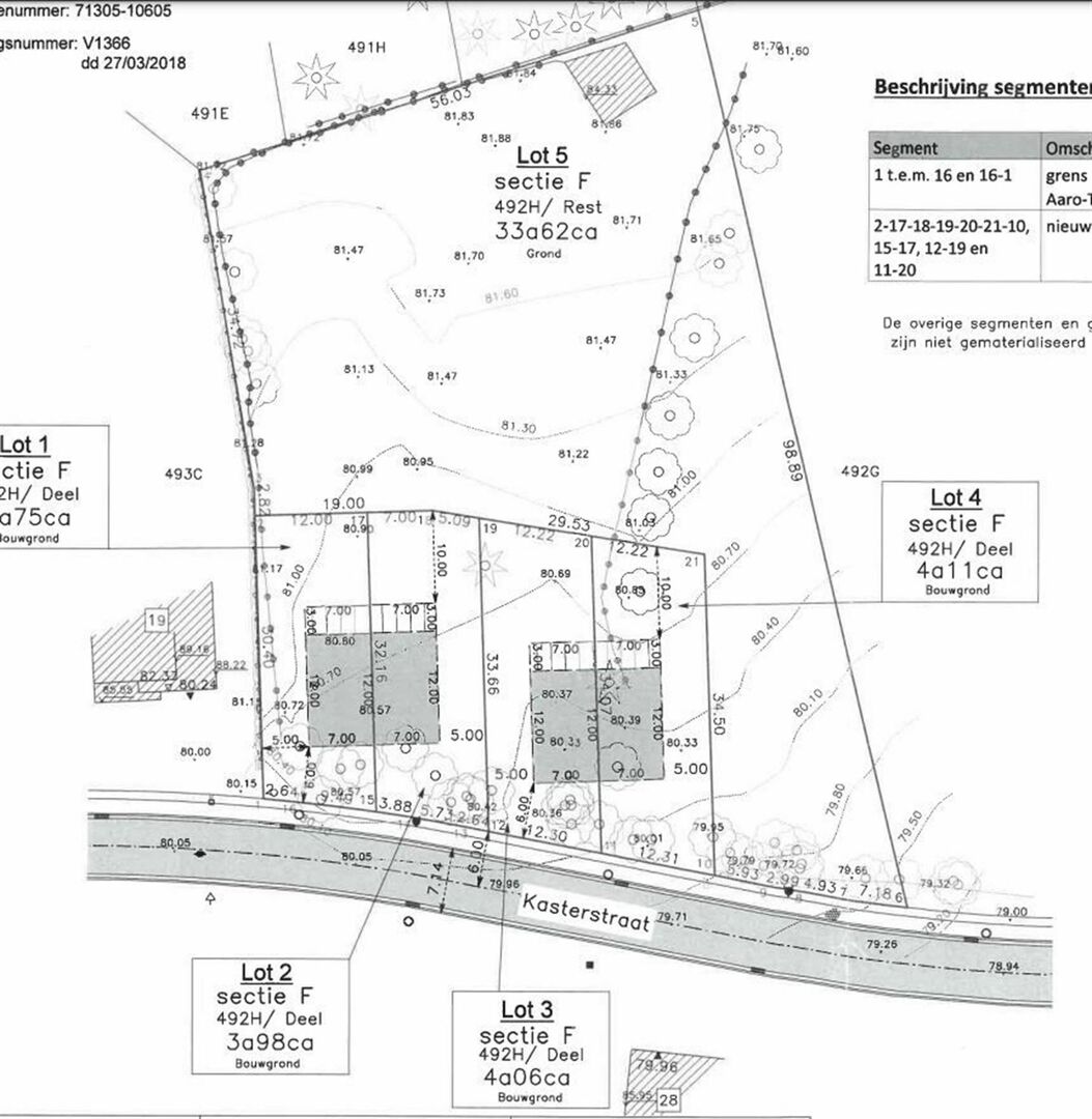
Kastertstraat, 3600 GENK
- 4.179 m²
Interessante projectgrond voor 6 tot 10 bouwgronden.
Dit rustig gelegen perceel is verkavel baar in 4 tot 8 percelen, mits het verwerven van extra grond.
Indien interesse kunnen wij u een volledige studie bezorgen rond dit project.
De kasterstraat is rustig en centraal gelegen, nabij Genk centrum en nabij andere uitvalswegen.
Bij interesse kan u ons contacteren op het nummer 089 44 12 12 of per mail op info@lantmeeters.be
Dit rustig gelegen perceel is verkavel baar in 4 tot 8 percelen, mits het verwerven van extra grond.
Indien interesse kunnen wij u een volledige studie bezorgen rond dit project.
De kasterstraat is rustig en centraal gelegen, nabij Genk centrum en nabij andere uitvalswegen.
Bij interesse kan u ons contacteren op het nummer 089 44 12 12 of per mail op info@lantmeeters.be
In detail
Financieel
- Prijs
- € 640.000
- Onder BTW stelsel
- nee
- Opbrengsteigendom
- nee
Terrein
- Perceel opp.
- 4.179,00 m²
Stedenbouwkundige info
- Bestemming
- Woonuitbreidingsgebied
- Bouwvergunning
- Nee
- Verkavelingsvergunning
- Ja
- Voorkooprecht
- Nee
- Dagvaarding
- Geen rechterlijke herstelmaatregel of bestuurlijke maatregel opgelegd

